Land
£35,000
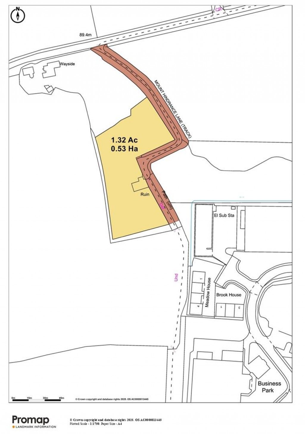
Mount Hindrance Lane, Chard

Floorplans For Mount Hindrance Lane, Chard

Description


The Property - A 1.32 acre parcel of amenity land located on the outskirts of Chard with a range of dilapidated former piggeries and buildings. Mature hedges form the boundaries The town enjoys a convenient yet scenic setting, with the stunning Jurassic Coast, including Lyme Regis situated 12 miles to the south.

Services - None connected.

Tenure - Freehold with vacant possession upon completion.

Rights Of Way - None cross the land. A public footpath does go down Mount Hindrance Lane.

Local Authority - South Somerset District Council. Tel: 01935 462462

Solicitors - Porter Dodson, Taunton TA1 2PX
Ref: Michelle Mallon
Tel: 01823 625861
Email: Michelle.Mallon@porterdodson.co.uk

Method Of Sale - For sale by Public Auction and via Livestream on Thursday 30th April 2026 2pm at The Guildhall, Axminster, EX13 5NX. Register to bid in the room, online by telephone or by proxy via our website.

Directions - From Chard, proceed north on A358 (Furnham Road) towards Ilminster for just over a mile and turn left signposted Cuttifords Door. Continue on this road for just under 0.5 miles and the entrance to the land will be on your left hand side marked by our for sale boards.
What3words //////clay.circulate.soup

Viewing - During daylight hours with particulars to hand having first informed the Axminster Agricultural office on 01297 33122.

Symonds and Sampson

Symonds & Sampson

Trinity Square
Axminster
Devon
EX13 5AW

+44 (0)1297 33122

Reference: 34575335

Request a viewing for this property

Simply fill out the form below or alternatively call us on 020 7839 0888

* Mandatory fields