3 Bedroom Bungalow
£350,000
Lyme Road, Axminster

Floorplans For Lyme Road, Axminster Floorplans For Lyme Road, Axminster
EPC Graph for Lyme Road, Axminster

Description


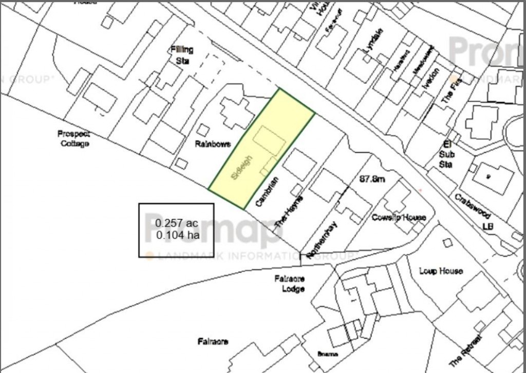
Stunning single story dwelling with huge scope for improvement/alterations set in level grounds of 0.25 acre. Splendid countryside views beyond and no onward chain.

The Property - Sidleigh is a truly individual property built of brick and stone dashed elevations under a traditional tiled roof. The property remains almost untouched over the past 50 years and is now in need of full modernisation. Alternatively, the property could provide an excellent opportunity for those looking to create additional accommodation within the loft space, subject to obtaining planning permission. Despite its excellent size plot, the property does not currently have any off road parking. Although it is worth noting that other properties in the area have received planning for parking.

Accommodation - This beautiful double fronted property features a dual aspect entrance/sitting room with double doors leading out to the rear garden. The kitchen also overlooks the garden and features a single sink unit and pantry. The adjoining room could be utilised as an additional bedroom. To the opposite side of the main living room are two bedrooms and bathroom with separate WC.

Outside - From the roadside is a gravelled pathway which leads to the front elevation. The garden is lawned with established trees and gated side access leads to a private enclosed rear garden featuring more established trees and shrubs. There are a selection of small timber buildings and a pleasant seating area up adjoining the living room. Beyond the rear boundary are delightful views over Axminster and the surrounding countryside. In total approximately 0.25 acre.

Situation - The property is situated in a most convenient position approximately half a mile from the town centre. It is also ideally placed with primary and secondary schooling in walking distance. Axminster is a bustling market town on the eastern fringes of Devon, close to the border with West Dorset and South Somerset. The town has a selection of national and independent retailers, doctor surgery and dentists. There is a well supported country produce market held in Trinity Square every Thursday. The beautiful Axe Valley with its renowned bird sanctuary reaches the sea at Seaton (6 miles) and the famed beaches of the World Heritage Jurassic Coast and the resort of Lyme Regis are at a similar distance. Exeter (M5) is 24 miles, and Taunton 20 miles. Axminster train station that is on the direct line to London Waterloo to Exeter line.

Directions - What3Words
///each.revise.competing

Services - Mains electric, water and drainage
Ultrafast broadband is available.
There is mobile network coverage in the area. Please refer to Ofcom's website for more information.

Local Authority - East Devon District Council, Tel : 01404 515616
Council Tax Band D.

Material Information - The area surrounding the property is at very low risk of flooding from surface water, rivers and seas.

Symonds and Sampson

Symonds & Sampson

Trinity Square
Axminster
Devon
EX13 5AW

+44 (0)1297 33122

Reference: 34418493

Request a viewing for this property

Simply fill out the form below or alternatively call us on 020 7839 0888

* Mandatory fields